Trei soluții simple ca să scapi de furnicile din casă, fără chimicale și fără stres, doar cu ce ai prin casă
Furnicile care apar în casă pot transforma rapid liniștea de acasă într-o sursă de nervi. Din fericire, există câteva soluții simple, la îndemâna oricui, care te pot ajuta să scapi de ele eficient și natural, fără substanțe agresive.
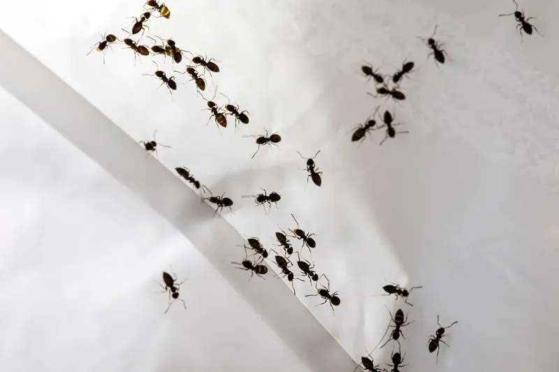
Nu e nimic mai frustrant decât să intri dimineața în bucătărie și să descoperi o coloană de furnici care pare că a cucerit deja blatul sau podeaua.
De cele mai multe ori, apar pe neașteptate, iar prima reacție este panica sau impulsul de a cumpăra rapid un insecticid. Totuși, există soluții mult mai simple și mai blânde, care funcționează surprinzător de bine.
Trei soluții simple ca să scapi de furnicile din casă, fără chimicale și fără stres, doar cu ce ai prin casă
Una dintre cele mai eficiente metode este folosirea oțetului, un ingredient banal, dar extrem de deranjant pentru furnici. Mirosul puternic le încurcă complet, pentru că le blochează feromonii de orientare, practic „ștergând” traseele pe care le folosesc.
O soluție preparată din oțet, apă, puțin detergent de vase și bicarbonat, aplicată cu un pulverizator în zonele unde apar insectele, le face să dispară rapid și le descurajează să mai revină. E genul de soluție care îți dă satisfacția că ai rezolvat problema cu ce aveai deja în casă.
Citește și: Cea mai bună metodă de a ține furnicile departe de locuință. Eficiența zațului de cafea, un mit?
Dacă vrei ceva și mai simplu, detergentul lichid de vase combinat cu apă este o alternativă eficientă. Pulverizat direct pe traseele furnicilor, acesta le elimină și curăță în același timp suprafețele. Este o soluție practică, mai ales atunci când vrei să acționezi rapid și să recâștigi sentimentul de control asupra spațiului tău.

Pentru situațiile în care furnicile par să revină constant, o soluție clasică rămâne combinația de zahăr și bicarbonat de sodiu.
Citește și: Locul din bucătărie pe care gospodinele îl curăță rar. Te îmbolnăvește și poate duce la incendii
Amestecate cu puțină miere sau dulceață și puse într-un capac de borcan, acestea atrag insectele, iar bicarbonatul își face efectul după ce este consumat. Este o metodă folosită de mult timp, discretă și eficientă, mai ales atunci când vrei să scapi de problemă fără să transformi casa într-un „câmp de luptă” chimic.
Dincolo de aceste soluții, poate cel mai important lucru este prevenția.
Curățenia regulată, mai ales în bucătărie, ștergerea urmelor de mâncare și verificarea crăpăturilor prin care furnicile pot intra fac diferența pe termen lung. Casa trebuie să rămână un loc sigur și liniștit, iar aceste mici gesturi te ajută să o protejezi fără stres.